ΠΕΡΙΣΤΑΤΙΚΟ ΤΑΥΤΟΧΡΟΝΩΝ ΕΞΑΡΘΡΗΜΑΤΩΝ ΜΕΤΑΞΥ ΕΚΤΟΥ ΚΑΙ ΕΒΔΟΜΟΥ ΟΣΦΥΪΚΟΥ ΣΠΟΝΔΥΛΟΥ ΚΑΙ ΙΣΧΙΟΥ ΣΕ ΣΚΥΛΟ
(Βάσει της ομότιτλης ανακοίνωσης στο 11ο πανελλήνιο κτηνιατρικό συνέδριο)
Πέτρος Μπεάκος, κτηνίατρος ελεύθερος επαγγελματίας
pbeakos@yahoo.gr, http://kthniatreio.blogspot.com
Περίληψη
Σκύλος προσκομίστηκε μία ώρα μετά από τροχαίο ατύχημα, εμφανίζοντας ταχυκαρδία, ταχύπνοια, αδυναμία στήριξης στο οπίσθιο δεξιό άκρο και οίδημα στο δεξιό μηρό. Αρχικώς εφαρμόσθηκε υποστηρικτική αγωγή για την πρόληψη της μετατραυματικής καταπληξίας. Ακολούθησε ορθοπεδική εξέταση και ακτινογράφηση της πυέλου και της σπονδυλικής στήλης, όπου διαπιστώθηκαν προκοτύλιο-υπερκοτύλιο εξάρθρημα του δεξιού ισχίου, εξάρθρημα μεταξύ του έκτου και του εβδόμου οσφυικού σπονδύλου και κατάγματα της ακανθώδους απόφυσης και της κάτω οπίσθιας γωνίας του σώματος του έκτου οσφυικού σπονδύλου. Κατά τη νευρολογική εξέταση δε διαπιστώθηκαν παθολογικά ευρήματα.
Το εξάρθρημα του ισχίου ανατάχθηκε συντηρητικώς. Το εξάρθρημα της σπονδυλικής στήλης αντιμετωπίστηκε κατ’ αρχάς συντηρητικώς, με τη χορήγηση μη στεροειδών αντιφλεγμονωδών φαρμάκων και τον περιορισμό της κινητικής δραστηριότητας. Παρά ταύτα, μετά από μια εβδομάδα παρουσιάστηκαν πάρεση της ουράς, στήριξη στη ραχιαία επιφάνεια των δακτύλων του αριστερού οπίσθιου άκρου και αταξία των οπισθίων άκρων, που επιδεινώθηκαν τις πέντε επόμενες ημέρες. Για το λόγο αυτό η σπονδυλική στήλη αποκαταστάθηκε χειρουργικώς. Η μέθοδος που επιλέχθηκε ήταν αυτή της τροποποιημένης τμηματικής νωτιαίας σταθεροποίησης. Μετεγχειρητικώς ο σκύλος περιορίστηκε σε κλωβό νοσηλείας και εφαρμόστηκε πρόγραμμα φυσιοθεραπείας.
Δύο μήνες μετά τη χειρουργική επέμβαση η κινητικότητα της ουράς και η στήριξη στα οπίσθια άκρα ήταν κατά φύση, η αταξία είχε παρέλθει και η βάδιση έβαινε συνεχώς βελτιούμενη. Τέσσερις μήνες μετεγχειρητικώς ο σκύλος μπορούσε να τρέχει και να εκτελεί μικρά άλματα. Πέντε μήνες μετεγχειρητικώς, η κινητικότητα είχε αποκατασταθεί πλήρως και ο σκύλος μπορούσε να εκτελεί μεγάλα άλματα.
ΠΡΟΛΟΓΟΣ
Η διαγνωστική προσέγγιση των περιστατικών με ιστορικό τροχαίου ατυχήματος απαιτεί εγρήγορση και μεθοδικότητα καθ’ ότι αφορούν δυνητικά πολυτραυματίες με ενδεχόμενες κακώσεις στη σπονδυλική στήλη. Ομοίως, ο σχεδιασμός της θεραπευτικής αντιμετώπισης των ζώων με πολλαπλά τραύματα πέραν του ότι αυτός καθ’ εαυτόν αποτελεί πρόκληση για τον κτηνίατρο, συχνά καθίσταται ακόμη πιό πολύπλοκος, διότι εκτός των αμιγώς ιατρικών κριτηρίων, στην καθημερινότητα του κτηνιατρείου εξαρτάται και από τις επιλογές του ιδιοκτήτη του ζώου. Η εκτίμηση της πρόγνωσης των τραυματισμών της σπονδυλικής στήλης απαιτεί ιδιαίτερη προσοχή, όχι μόνο ώστε να επιλεχθεί η κατάλληλη θεραπευτική αγωγή αλλά και για να καθοδηγηθεί ο ιδιοκτήτης σε αποφάσεις που δε θα υπονομεύσουν την ποιότητα της ζωής ή και την ίδια τη ζωή του ζώου του.
ΠΕΡΙΓΡΑΦΗ
Ιστορικό
Σκύλος προσκομίστηκε σε στερνική κατάκλιση περίπου μία ώρα μετά από τροχαίο ατύχημα. Ο προσκομίσας το ζώο ανέφερε τραυματισμό ενός εκ των οπισθίων άκρων και βάδιση για μερικά μέτρα με τα άλλα τρία άκρα, αμέσως μετά το ατύχημα.
Ο σκύλος ήταν ηλικίας δεκαέξι μηνών, θηλυκός, μιγάς, μεσαίου μεγέθους. Κατά τον προσκομίσαντα δεν έπασχε από κάποιο χρόνιο νόσημα.
Κλινική εικόνα – εργαστηριακές εξετάσεις
Αρχικώς ελέγθηκαν τα ζωτικά σημεία και η γενική κατάσταση του ζώου και διαπιστώθηκαν: ταχύπνοια, ταχυκαρδία, φυσιολογική χροιά βλεννογόνων, χρόνος επαναπλήρωσης τριχοειδών αγγείων μικρότερος των δύο δευτερολέπτων, φυσιολογικοί σφυγμοί και φυσιολογικό επίπεδο συνείδησης. Επιπλέον, κατά την κλινική εξέταση διαπιστώθηκαν: οίδημα του δεξιού μηρού το οποίο συνεχώς εντεινόταν, εκδορές και στα δύο οπίσθια άκρα καθώς και στην περιοχή της πυέλου.
Πριν συνεχιστεί η κλινική εξέταση, χορηγήθηκαν ορός Lactated Ringer’s με ρυθμό 60 ml/kg/h ενδοφλεβίως και δεξαμεθαζόνη 1 mg/kg άπαξ επίσης ενδοφλεβίως ως προληπτική της μετατραυματικής καταπληξίας αγωγή. Αφού διαπιστώθηκε ότι οι ζωτικές λειτουργίες παρέμεναν σταθερές, διενεργήθηκαν ορθοπεδική εξέταση και πλάγια ακτινογράφηση του θώρακος και της κοιλίας συμπεριλαμβανομένων των αντίστοιχων μοιρών της σπονδυλικής στήλης και των οστών της πυέλου.
Τα ευρήματα της ορθοπεδικής εξέτασης ήταν αδυναμία στήριξης στο οπίσθιο δεξιό άκρο, πόνος και κριγμός κατά τις παθητικές κινήσεις του δεξιού ισχίου και ήπιος πόνος κατά την ψηλάφηση της οσφύος. Η ψηλάφηση του δεξιού ισχίου δεν κατέστη δυνατή λόγω του οιδήματος.
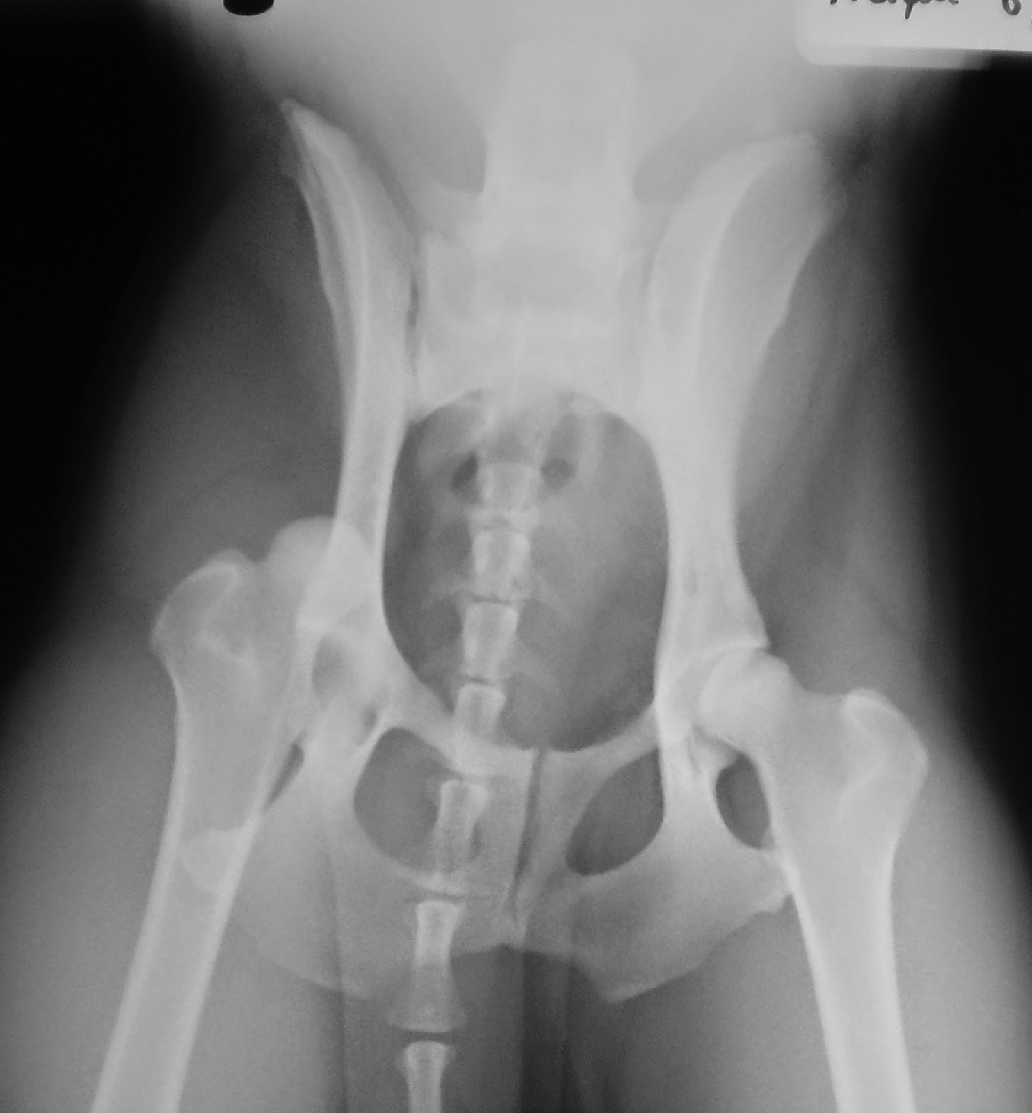
Στα ακτινογραφήματα, τα σπλάγχνα του θώρακος και της κοιλίας ελέγχθηκαν κατά φύση. Κατά τον έλεγχο της σπονδυλικής στήλης διαπιστώθηκαν εξάρθρημα μεταξύ του έκτου και του εβδόμου οσφυϊκού σπονδύλου και κατάγματα του σώματος, της ακανθώδους απόφυσης και του ραχιαίου πετάλου του έκτου οσφυϊκού σπονδύλου (Εικ. 1). Κατά τον έλεγχο της πυέλου διαπιστώθηκε προκοτύλιο-υπερκοτύλιο εξάρθρημα του δεξιού ισχίου.
Εικ.1: Ακτινογραφία της οσφυϊκής μοίρας της σπονδυλικής στήλης
Ακολούθησε νευρολογική εξέταση, η οποία αρχικώς έγινε σε κατάκλιση. Ο μυϊκός τόνος του αριστερού οπισθίου άκρου και τα αντανακλαστικά: απόσυρσης, επιγονατιδικό, ισχιακό και περινεϊκό, ήταν φυσιολογικά. Τα παραπάνω δεν εκτιμήθηκαν στο οπίσθιο δεξιό άκρο εξ’ αιτίας του πόνου. Στη συνέχεια ελέγχθηκαν τα αντανακλαστικά: επαναφοράς του οπισθίου αριστερού άκρου, μετακίνησης στα αριστερά άκρα και αναπήδησης στο οπίσθιο αριστερό άκρο, τα οποία βρέθηκαν φυσιολογικά.
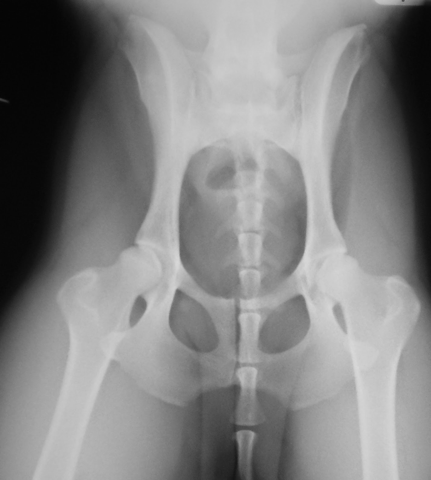
Για την επιβεβαίωση της διάγνωσης του εξαρθρήματος του ισχίου, η πύελος ακτινογραφήθηκε σε ύπτια θέση (Εικ. 2) με το σκύλο υπό γενική αναισθησία.
Εικ. 2: Ύπτια ακτινογραφία πυέλου: εξάρθρημα δεξιού ισχίου.
Θεραπεία
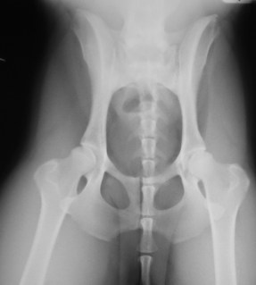
Το εξάρθρημα του ισχίου ανατάχθηκε συντηρητικώς υπό γενική αναισθησία αμέσως μετά την επιβεβαίωση της διάγνωσης και η ανάταξη ελέγχθηκε με ακτινογράφηση (Εικ. 3). Η άρθρωση του ισχίου ακινητοποιήθηκε με επίδεσμο Ehmer
Εικ. 3: ΄Υπτια ακτινογραφία πυέλου μετά την ανάταξη του εξαρθρήματος του ισχίου
για μία εβδομάδα. Λόγω του εξαρθρήματος των οσφυϊκών σπονδύλων συνεστήθη περιορισμός σε κλωβό νοσηλείας για δύο εβδομάδες, χορήγηση καρπροφένης 2,2 mg/kg/12h po για μία εβδομάδα και καθημερινή νευρολογική εξέταση.
Πρόγνωση
Ο ιδιοκτήτης ενημερώθηκε για την ευνοϊκή πρόγνωση του εξαρθρήματος του ισχίου και την επιφυλακτική του εξαρθρήματος των οσφυϊκών σπονδύλων, καθώς και για το ενδεχόμενο χειρουργικής επέμβασης στη σπονδυλική στήλη αναλόγως της έκβασης της συντηρητικής αγωγής.
Έκβαση
Ο σκύλος νοσηλεύτηκε κατ’ οίκον και προσκομίστηκε ξανά σε μία εβδομάδα λόγω στήριξης στη ραχιαία επιφάνεια των δακτύλων του αριστερού οπισθίου άκρου και χαλαρής πάρεσης της ουράς. Κατά τη νευρολογική εξέταση διαπιστώθηκαν επιπλέον: απώλεια των αντανακλαστικών θέσης στο οπίσθιο αριστερό άκρο, ελαττωμένη αίσθηση του επιπολής πόνου και στα δύο οπίσθια άκρα και αταξία των οπισθίων άκρων. Συνεστήθη χειρουργική αποκατάσταση της σπονδυλικής στήλης. Ο σκύλος προσκομίστηκε για χειρουργική επέμβαση πέντε ημέρες αργότερα. Tις πέντε αυτές ημέρες χορηγούταν μεθυλοπρεδνιζολόνη 1 mg/kg/12h po, όμως η νευρολογική εικόνα είχε επιδεινωθεί. Ο σκύλος στηριζόταν σποραδικώς στη ραχιαία επιφάνεια των δακτύλων και του δεξιού οπισθίου άκρου, η πάρεση της ουράς είχε εξελιχθεί σε παράλυση και η αταξία των οπισθίων άκρων είχε επιδεινωθεί. Ακτινογραφήθηκε ξανά η οσφυϊκή μοίρα της σπονδυλικής στήλης χωρίς να σημειωθεί κάποια μεταβολή της εικόνας από την αρχική ακτινογραφία.
Χειρουργική αποκατάσταση της σπονδυλικής στήλης
Για την αποκατάσταση της σπονδυλικής στήλης επιλέχθηκε η μέθοδος της τροποποιημένης τμηματικής νωτιαίας σταθεροποίησης. Σύμφωνα με αυτή τη μέθοδο, μετά την ανάταξη του εξαρθρήματος, ήλοι κεκαμμένοι σε ορθή γωνία τοποθετήθηκαν εκατέρωθεν των ακανθωδών αποφύσεων των οσφυϊκών σπονδύλων και προσδέθηκαν σε αυτούς με σύρμα, το οποίο είχε προηγουμένως περαστεί από οπές που είχαν διανοιχτεί στις αρθρικές και στην ακανθώδη απόφυση κάθε σπονδύλου. Οι ήλοι στερεώθηκαν σε τρείς σπονδύλους κεφαλικώς του εξαρθρήματος, στο σπόνδυλο ουραίως του εξαρθρήματος και στο ιερό οστό. Το κάθετο προς τη σπονδυλική στήλη τμήμα των ήλων διήλθε από οπές, οι οποίες είχαν διανοιχθεί στις πτέρυγες των λαγονίων οστών (Εικ. 4 και 5).
Εικ. 4: Τροποποιημένη τμηματική νωτιαία σταθεροποίηση
Εικ. 5: Στιγμιότυπο από τη χειρουργική επέμβαση αμέσως μετά την ολοκλήρωση της τοποθέτησης των εμφυτευμάτων και λίγο πριν τη συρραφή του χειρουργικού τραύματος.
Για τα κατάγματα των σπονδύλων δεν ελήφθη ιδιαίτερη μέριμνα. Η οσφυϊκή μοίρα της σπονδυλικής στήλης ακτινογραφήθηκε μετεγχειρητικώς ώστε να επιβεβαιωθεί η ανάταξη του εξαρθρήματος (Εικ. 6).
Εικ. 6: Μετεγχειρητική ακτινογραφία
Χορηγήθηκαν μεθυλοπρεδνιζολόνη 1 mg/kg/24h po επί τρεις ημέρες, τις επόμενες τρεις ημέρες η δοσολογία μειώθηκε σε 0,5 mg/kg/24h po και τέλος σε 0,5 mg/kg/48h επί τρείς φορές. Συνεστήθη περιορισμός σε κλωβό νοσηλείας διάρκειας δύο εβδομάδων και εφαρμόστηκε πρόγραμμα φυσιοθεραπείας. Η φυσιοθεραπεία περιλάμβανε, τις δύο πρώτες εβδομάδες, παθητικές κινήσεις των οπισθίων άκρων, ασκήσεις ισορροπίας και ασκήσεις ανέγερσης από καθιστή θέση. Τις επόμενες δύο εβδομάδες επετράπη το βάδισμα με λουράκι και σταδιακά προστέθηκαν το βάδισμα βουστροφηδόν και σε κύκλο. Την τελευταία εβδομάδα προστέθηκε η ανάβαση σε σκάλα.
Μετεγχειρητική εξέλιξη
Την όγδοη ημέρα μετεγχειρητικώς παρατηρήθηκαν ανεπαίσθητες κινήσεις της ουράς. Τη δέκατη πέμπτη ημέρα ο σκύλος εκτελούσε τέσσερα έως πέντε κανονικά βήματα προς ένα με τη ραχιαία επιφάνεια των δακτύλων. Την τριακοστή ημέρα η κινητικότητα της ουράς είχε αποκατασταθεί πλήρως, ενώ ο βηματισμός με τη ραχιαία επιφάνεια των δακτύλων ήταν σπάνιος (Εικ. 7). Τον τέταρτο μήνα η βάδιση ήταν απολύτως φυσιολογική και ο σκύλος μπορούσε να τρέχει και να εκτελεί μικρά άλματα. Τον πέμπτο μήνα μπορούσε να εκτελεί μεγάλα άλματα και να εκτείνει τη ράχη του.
Εικ. 7: Στήριξη στα οπίσθια άκρα ένα μήνα μετεγχειρητικώς
Κινηματογράφηση της βάδισης ένα μήνα μετεγχειρητικώς
ΑΝΑΛΥΣΗ
Πρωταρχικός στόχος στην αντιμετώπιση του περιστατικού ήταν η πρόληψη της μετατραυματικής καταπληξίας και η σταθεροποίηση των ζωτικών λειτουργιών. Η λεπτομερής ορθοπεδική, νευρολογική και ακτινογραφική διερεύνηση αναβλήθηκε έως την επίτευξη αυτού του στόχου. Οι χειρισμοί και οι μετακινήσεις του ζώου περιορίστηκαν στο ελάχιστο χωρίς να χρειαστεί δραστική μηχανική ή χημική συγκράτηση. Σε αυτό συνέβαλε η φλεγματική ιδιοσυγκρασία του ζώου.
Το περιστατικό αυτό καταδεικνύει ότι ακόμη κι αν αρχικώς δεν παρατηρηθούν νευρικά συμπτώματα, η ακτινογράφηση της σπονδυλικής στήλης κρίνεται απαραίτητη σε κάθε περίπτωση τροχαίου ατυχήματος. Η συμπίεση του νωτιαίου μυελού και των ριζών των νωτιαίων νεύρων είναι υπό εξέλιξη τις πρώτες ώρες ή και ημέρες μετά τον τραυματισμό και ενδέχεται να μην προκαλέσει αμέσως συμπτώματα. Επιπλέον, η έγκαιρη διάγνωση τυχόν ασταθών καταγμάτων και εξαρθρημάτων των σπονδύλων διευκολύνει τη μέριμνα για αποφυγή επιδείνωσης της παρεκτόπισης.
Το εξάρθρημα του ισχίου ανατάχθηκε αμέσως μόλις κρίθηκε ασφαλής η γενική αναισθησία, διότι όσο πιό νωρίς πραγματοποιηθεί η κλειστή ανάταξη, τόσο ευνοϊκότερη πρόγνωση έχει. Η έγκαιρη ανάταξη προλαμβάνει την περαιτέρω κάκωση των μαλακών ιστών που περιβάλουν το ισχίο και την εκφύλιση του αρθρικού χόνδρου.
Οι βλάβες της σπονδυλικής στήλης αντιμετωπίστηκαν κατ’ αρχάς συντηρητικώς διότι δεν παρατηρήθηκαν νευρικά συμπτώματα και διότι η εντόπισή τους δεν ήταν συμβατή με βλάβη του νωτιαίου μυελού, ο οποίος εκτείνεται έως το σώμα του έκτου οσφυϊκού σπονδύλου. Σε αντίθεση με το νωτιαίο μυελό, οι ρίζες των νωτιαίων νεύρων είναι ανθεκτικές σε τραυματισμούς, με αποτέλεσμα να δικαιολογείται η λιγότερο επιθετική θεραπευτική αντιμετώπιση, με την προϋπόθεση της συνεχούς νευρολογικής παρακολούθησης. Για τον ίδιο λόγο ο εκτιμώμενος βαθμός στένωσης του σπονδυλικού σωλήνα βάσει της πλάγιας ακτινογραφίας δεν αξιολογήθηκε ως προγνωστικός παράγοντας. Η πρόγνωση έγινε κυρίως βάσει της νευρολογικής εικόνας, η οποία αντικατοπτρίζει καλύτερα το βαθμό βλάβης των νευρικών ριζών. Για τον ίδιο επίσης λόγο θεωρώ ότι η μη πλήρης συμμόρφωση του ιδιοκτήτη στις οδηγίες για συνεχή παρακολούθηση του ζώου κατά τη νοσηλεία και η πενθήμερη καθυστέρηση της συγκατάθεσής του για χειρουργική επέμβαση, δεν επηρέασαν δυσμενώς την τελική έκβαση.
Η χειρουργική επέμβαση για την αποκατάσταση της σπονδυλικής στήλης κρίθηκε αναγκαία, εξ αιτίας της νευρολογικής επιδείνωσης η οποία υποδήλωνε την περαιτέρω συμπίεση της ιππουρίδας παρά τη συντηρητική αγωγή. Με τη χειρουργική επέμβαση επετεύχθη η άμεση αποσυμπίεση. Επελέγη η μέθοδος της τροποποιημένης τμηματικής νωτιαίας σταθεροποίησης έναντι άλλων (π.χ. ήλωση σε συνδυασμό με πολυμεθακρυλικό μεθύλιο, εξωτερική οστεοσύνθεση σε συνδυασμό με πλαστική πλάκα ακανθωδών αποφύσεων), διότι παρέχει εξίσου ισχυρή συγκράτηση, το χειρουργικό τραύμα που προκαλεί είναι σχετικά μικρό, δεν απαιτεί ειδικό εξοπλισμό πέραν των βασικών ορθοπεδικών εργαλείων και εμφυτευμάτων και είναι απλή στην εφαρμογή της.







