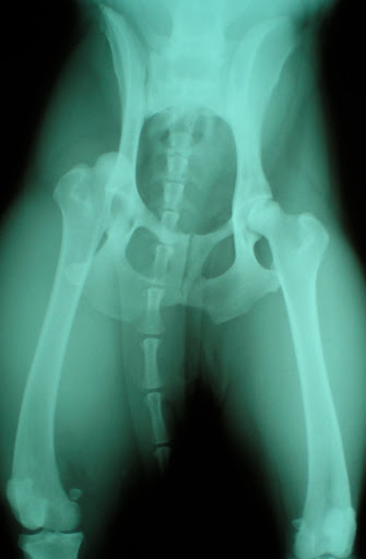
Σκύλος προσκομίστηκε στο Κτηνιατρικό Κέντρο Ιλισίων μετά από τροχαίο ατύχημα. Διαπιστώθηκαν εξάρθρημα ισχίου, κάταγμα ηβοισχιακής σύμφυσης, εξάρθρημα μεταξύ έκτου καί έβδομου οσφυϊκών σπονδύλων καί κατάγματα ακανθώδους απόφυσης καί κάτω οπίσθιας γωνίας σώματος έκτου οσφυϊκού σπονδύλου. Λίγες ημέρες μετά το ατύχημα εμφανίστηκαν αταξία καί απώλεια των αντανακλαστικών θέσης των οπισθίων άκρων καθώς και αδυναμία κίνησης της ουράς. Παρακάτω φαίνονται οι ακτινογραφίες του εξαρθρωμένου ισχίου πρίν και μετά την κλειστή ανάταξη, οι ακτινογραφίες της σπονδυλικής στήλης πρίν και μετά τη χειρουργική επέμβαση (τροποποιημένη τμηματική νωτιαία σταθεροποίηση) και τα εμφυτεύματα αμέσως μετά την ολοκλήρωση της τοποθέτησής τους και λίγο πριν την έναρξη συρραφής του χειρουργικού τραύματος.





